Local Service Overview

Get Ants Extermination Service in Tarrant County, TX

Ants extermination services for property owners in Tarrant County, TX, address ant infestations, prevent future invasions, and handle residential and commercial pest control projects.

Tarrant County, TX

Ants extermination services are an essential consideration for property owners in Tarrant County, TX, seeking to maintain a comfortable and functional living or working environment. Effective pest control helps prevent ant infestations that can compromise the safety and integrity of structures, reduce the risk of damage to stored goods, and minimize the presence of unwanted pests indoors. By addressing ant problems promptly, property owners can enjoy enhanced peace of mind, improved safety for residents and visitors, and a more inviting appearance for their property.

Choosing professional ant extermination services offers several benefits, including reduced ongoing maintenance, increased durability of the property’s infrastructure, and improved curb appeal. Proper pest management ensures that ant populations are controlled effectively, preventing future issues and the need for frequent interventions. This proactive approach supports the long-term functionality of the property, making it a more attractive and safe space for occupants, all while preserving its overall value and appearance.

Get Ants Extermination Service Quotes

  • Ants Extermination - needed when ants invade homes or businesses in Tarrant County, TX and surrounding areas.
  • Ants Extermination - required when persistent ant colonies threaten to establish themselves indoors or outdoors.
  • Ants Extermination - necessary for eliminating ant infestations that disrupt residential or commercial spaces.
  • Ants Extermination - sought when ant activity is observed around kitchens, basements, or entry points.
  • Ants Extermination - essential for controlling ant populations in areas prone to recurring infestations.

Get Ants Extermination Service Quotes

Ants Extermination Service
Ants Extermination Service
Ants Extermination Service

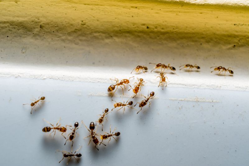
Ants extermination services involve the identification and elimination of ant colonies that have invaded a property. Professionals typically conduct thorough inspections to determine the extent of the infestation and locate the nest sites. Treatment methods may include targeted application of insecticides, baiting systems, and barrier treatments designed to prevent ants from entering indoor and outdoor spaces. These services aim to reduce ant populations effectively and help prevent future invasions, ensuring a more comfortable and pest-free environment.

Ant infestations can cause various problems for property owners, including damage to structures, contamination of food supplies, and general nuisance. Certain ant species, such as carpenter ants, can compromise the integrity of wooden structures, leading to costly repairs if left untreated. Additionally, ants can contaminate food in kitchens and pantries, creating health concerns. Exterminators help address these issues by removing existing colonies and implementing strategies to minimize the likelihood of recurring problems.

Properties that commonly utilize ants extermination services include residential homes, apartment complexes, and commercial establishments. Homes often seek treatment in kitchens, basements, or outdoor areas where ants tend to forage. Commercial properties such as restaurants, grocery stores, and food processing facilities may require regular pest control to comply with health regulations and maintain cleanliness standards. Additionally, property managers and landlords frequently contact pest control providers to manage ant issues across multiple units or shared spaces.

Professional ant extermination services are an effective solution for managing and preventing ant problems across various property types. By working with local pest control providers, property owners can access tailored treatment plans designed to address specific infestation levels and species. These services help maintain pest-free environments, protect property integrity, and support overall hygiene standards in residential and commercial settings.

The overview below groups typical Ants Extermination Service projects into broad ranges so you can see how smaller, mid-sized, and larger jobs often compare in Tarrant County, TX.

In many markets, a large share of routine jobs stays in the lower and middle ranges, while only a smaller percentage of projects moves into the highest bands when the work is more complex or site conditions are harder than average.

Initial Inspection - The cost for an ant infestation inspection typically ranges from $50 to $150. This fee covers a thorough assessment of the affected areas to identify ant activity and entry points.

Basic Treatment - A standard ant extermination service usually costs between $100 and $300. Prices depend on the size of the property and the severity of the infestation.

Multiple Treatments - For ongoing or severe ant problems, multiple treatment sessions may be necessary, with costs averaging $200 to $500. This ensures comprehensive eradication and prevention.

Follow-up Services - Follow-up visits to ensure ants are fully eliminated generally range from $75 to $200. These services help maintain ant-free conditions over time.

Actual totals will depend on details like access to the work area, the scope of the project, and the materials selected, so use these as general starting points rather than exact figures.

Get an Ants Extermination Service Quote

Ants Extermination services are essential for removing ant colonies from residential and commercial properties. Local pros specialize in identifying ant entry points and applying targeted treatments to eliminate infestations.

Ants Control solutions involve comprehensive inspection and treatment plans tailored to specific ant species common in Tarrant County, TX. Experts focus on preventing future invasions and reducing ant activity around properties.

Ants Pest Management providers utilize proven techniques to control and monitor ant populations, ensuring long-term suppression of infestations in homes and businesses. They may recommend integrated approaches for effective results.

Ants Removal services are designed to quickly and effectively eradicate ant nests and trails. Local contractors use safe and effective methods to restore comfort and hygiene to affected spaces.

Ants Inspection services involve thorough assessments to locate ant colonies and identify conditions attracting them. This helps in developing targeted treatment strategies for complete eradication.

Ants Prevention programs focus on implementing barriers and exclusion methods to deter ants from entering structures. Professionals advise on modifications to reduce the likelihood of future infestations.

Ants Extermination Service

When selecting a professional for ant extermination services, it’s important to consider the experience and expertise of local contractors. Many service providers have extensive backgrounds in pest control, including specific knowledge about ant species common to areas like Tarrant County, TX. Reviewing a contractor’s history with similar projects can help ensure that the chosen professional understands effective strategies and can address the unique challenges of your property. It’s advisable to look for local options that have established reputations within the community, as this often reflects a track record of reliable service and familiarity with regional pest issues.

Clear communication and well-defined expectations are key components when working with a pest control professional. Reputable local pros typically provide detailed information about their process, what homeowners can expect during treatment, and any necessary follow-up steps. This transparency helps in making informed decisions and ensures that there are no surprises once the service is underway. When evaluating options, it’s beneficial to contact prospective providers to gauge their responsiveness and willingness to address specific questions or concerns, which can be indicative of their professionalism and customer service approach.

References and reputable feedback from other homeowners can serve as valuable indicators of a contractor’s reliability and quality of work. Many local pest control providers have established relationships within their communities and can often provide references or testimonials from previous clients. While the information below functions as a neutral platform connecting homeowners with local service providers, it’s important to verify the credibility of the pros through their references. Doing so can help confirm that the chosen professional maintains consistent standards and has a history of satisfactory service, making the selection process more informed and confident.

Get an Ants Extermination Service Quote

Property owners in Tarrant County, TX use Ants Extermination Service services for practical projects around their homes and businesses. The sections below highlight everyday jobs and straightforward project options.

Ants Extermination Service
Ants Extermination Service

Ants extermination services are commonly sought after by property owners in Tarrant County, TX, facing persistent ant infestations in residential or commercial spaces. These services are often needed when ants become a nuisance, invading kitchens, pantries, or outdoor areas, and pose challenges to maintaining a clean and comfortable environment. Property owners may look for professional assistance to identify the source of the infestation and implement effective treatments that eliminate ants and prevent future problems.

In addition, many property owners in the area seek ant extermination when signs of an active colony are evident, such as visible trails or ant mounds around the property. Routine pest control maintenance can also include ant management to avoid larger infestations. Local service providers are equipped to address these everyday concerns, helping residents and business owners keep their properties free of ants and related pests.

Get an Ants Extermination Service Quote

How do ant extermination services work? Ant extermination services typically involve inspecting the property to identify ant colonies and entry points, followed by targeted treatments using baits, sprays, or dust to eliminate ants and prevent future infestations.

Are ant treatments safe for pets and children? Many ant extermination options are formulated to be safe when used as directed, but it is advisable to discuss safety concerns with local service providers before treatment.

How long does an ant extermination treatment last? The duration of effectiveness varies depending on the treatment method and ant species, with some treatments providing protection for several months.

Can ant extermination services prevent future infestations? Yes, professional treatments often include recommendations and follow-up options to help reduce the likelihood of future ant problems.

How do I prepare my home for ant extermination? Preparing may involve cleaning areas, removing food and water sources, and following any specific instructions provided by the service provider to ensure effective treatment.

Ants Extermination Solutions - Local pest control providers offer targeted treatments to eliminate ant infestations effectively.

Inspection and Identification - Professionals can assess property conditions to identify ant entry points and nesting areas.

Preventive Strategies - Service providers recommend methods to reduce future ant activity and prevent re-infestation.

Customized Treatment Plans - Local experts develop tailored approaches based on the specific ant species and property needs.

Ants Extermination Service

Considering Ants Extermination Service for a property in Tarrant County, TX? The sections above highlight common project types, practical options, and details that often shape the scope of work.

When you are ready, use the quote form to share a few details about your project. Local pros can review the basics and respond with options that match what you have in mind.

Get an Ants Extermination Service Quote

Ants Extermination Quotes

Our Trusted Partners
Cantu Pest Control
Orkin
Hawx Pest Control