Local Service Overview

Get Black Ant Extermination in Keller, TX

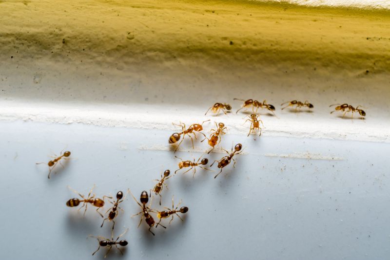
Black Ant Extermination services for Keller, TX, and nearby areas address ant infestations, nest removal, and prevention for residential and commercial properties.

Keller, TX

Black ant extermination services are essential for property owners in Keller, TX seeking to maintain a comfortable and safe living environment. By effectively managing ant populations, these services help prevent infestations that can disrupt daily routines and compromise the usability of outdoor and indoor spaces. Proper extermination enhances the overall functionality of a property, ensuring that outdoor areas remain inviting and indoor spaces are free from pests that could cause discomfort or damage.

In addition to immediate pest control, professional ant extermination offers benefits such as increased durability of landscaping and structures by preventing pest-related deterioration. Property owners often look for solutions that reduce ongoing maintenance needs and improve curb appeal, making their homes more attractive and easier to care for. Engaging experienced local service providers ensures that pest issues are addressed thoroughly, contributing to a more enjoyable and worry-free property environment.

Get Black Ant Extermination Quotes

  • Ant Extermination - needed when black ants invade kitchens, pantries, or outdoor spaces around Keller, TX.
  • Indoor Black Ant Control - required if black ants are found nesting inside homes or offices in nearby areas.
  • Outdoor Black Ant Treatment - suitable for properties with ant colonies in yards, gardens, or landscape beds in the Keller region.
  • Perimeter Pest Control - recommended for preventing black ant entry around the foundation and exterior of buildings in nearby communities.
  • Emergency Ant Removal - necessary when black ant infestations suddenly become overwhelming or difficult to manage in Keller and surrounding areas.

Get Black Ant Extermination Quotes

Black Ant Extermination
Black Ant Extermination
Black Ant Extermination

Black ant extermination services focus on identifying and eliminating ant infestations in residential, commercial, and industrial properties. These services typically involve thorough inspections to locate ant colonies and entry points, followed by targeted treatments using specialized products. Exterminators may employ baiting systems, liquid insecticides, or dust formulations to effectively reduce ant populations and prevent future invasions. The goal is to create a barrier that deters ants from entering the property and to eradicate existing colonies that may be causing problems.

Ant infestations can lead to various issues, including property damage, contamination of food supplies, and general nuisance. Black ants, in particular, are known for nesting in wall voids, beneath floors, and around foundation areas, making them difficult to control without professional intervention. Left untreated, their colonies can grow rapidly, increasing the likelihood of recurring infestations. Exterminators help address these problems by implementing integrated pest management strategies designed to eliminate the source of the infestation and reduce the risk of future outbreaks.

Properties that commonly utilize black ant extermination services include single-family homes, apartment complexes, restaurants, and warehouses. Residential properties often seek assistance to protect food storage areas and prevent ants from establishing nests within walls or basements. Commercial properties, especially those involved in food handling or storage, prioritize pest control to maintain hygiene standards and comply with health regulations. Industrial facilities may also require professional services to manage larger or more persistent ant populations that could impact operations or cause damage.

Professional ant extermination services are tailored to the specific needs of each property type and infestation severity. Local pest control providers offer customized treatment plans that consider the layout, construction materials, and surrounding environment of the property. These services aim to provide a comprehensive solution that not only eradicates existing ants but also minimizes the chances of future invasions. Contacting a local pest control professional can help property owners address ant problems effectively and restore comfort and safety to their spaces.

The overview below groups typical Black Ant Extermination projects into broad ranges so you can see how smaller, mid-sized, and larger jobs often compare in Keller, TX.

In many markets, a large share of routine jobs stays in the lower and middle ranges, while only a smaller percentage of projects moves into the highest bands when the work is more complex or site conditions are harder than average.

Initial Black Ant Extermination - The cost for a one-time treatment typically ranges from $150 to $300, depending on the size of the infested area. Larger properties or severe infestations may incur higher fees, around $400.

Ongoing Black Ant Control - Monthly or quarterly service plans generally cost between $50 and $150 per visit. These plans help maintain ant-free conditions and can vary based on property size and treatment complexity.

Per-Visit Black Ant Treatment - Single-treatment services usually fall within the $100 to $250 range. Additional visits or follow-up treatments may be billed separately or included in a package plan.

Specialized Black Ant Extermination Services - Advanced or customized treatments, such as baiting systems or barrier applications, can cost between $200 and $500. The final price depends on the extent of the infestation and the selected treatment method.

Actual totals will depend on details like access to the work area, the scope of the project, and the materials selected, so use these as general starting points rather than exact figures.

Get a Black Ant Extermination Quote

Black Ant Extermination services are essential for addressing infestations in residential and commercial properties, helping to eliminate these pests effectively.

Local extermination professionals specializing in black ant removal provide tailored treatments to reduce ant populations and prevent future invasions.

Experts in black ant control utilize targeted methods to identify nests and eliminate colonies, minimizing disruption to the property.

Professional black ant extermination services include inspection, treatment, and follow-up to ensure long-term pest management.

Contractors experienced in black ant extermination can assist with both immediate removal and ongoing pest prevention strategies.

Connecting with local pest control providers ensures access to specialized solutions for black ant issues in Keller, TX, and nearby areas.

Black Ant Extermination

When selecting a professional for Black Ant Extermination services, it is important to consider their experience in pest control. Homeowners should look for contractors who have a proven track record in handling ant infestations, particularly those that specialize in or frequently perform black ant treatments. An experienced provider will typically have a thorough understanding of ant behavior, effective treatment methods, and the best practices for long-term management, which can contribute to more reliable results.

Clear communication and well-defined written expectations are essential when working with local pest control providers. Homeowners should seek out professionals who offer detailed explanations of their treatment approaches, what services are included, and any necessary follow-up procedures. Having documented expectations helps ensure that both parties are aligned on the scope of work, which can reduce misunderstandings and facilitate a smoother process.

Reputable references and a history of positive feedback are valuable indicators of a trustworthy service provider. Pros with established local reputations are often able to provide references or testimonials from previous clients in the Keller, TX area or surrounding communities. Additionally, homeowners can benefit from researching reviews or ratings to gauge the reliability and professionalism of different providers. Effective communication and responsiveness are also key qualities, as they reflect a contractor’s commitment to addressing questions, providing updates, and ensuring a transparent pest control experience.

Get a Black Ant Extermination Quote

Property owners in Keller, TX use Black Ant Extermination services for practical projects around their homes and businesses. The sections below highlight everyday jobs and straightforward project options.

Black Ant Extermination
Black Ant Extermination

Black ant extermination services are commonly sought by property owners in Keller, TX, who notice persistent ant activity around their homes or businesses. These insects can invade kitchens, bathrooms, and other areas, creating nuisances and potential sanitation concerns. Local service providers can help identify the source of the ant problem and implement targeted treatment plans to eliminate colonies and prevent future invasions.

Property owners may also look for ant extermination when experiencing recurring infestations despite previous attempts at control. Factors such as warm weather, nearby landscaping, or food sources can contribute to ant activity, prompting residents and business owners to seek professional assistance. Connecting with local experts ensures that effective, safe solutions are applied to address these common pest issues.

Get a Black Ant Extermination Quote

Why are black ants attracted to my home? Black ants are often drawn to food sources, moisture, and shelter inside or around homes, especially during warmer months.

What are common signs of a black ant infestation? Signs include visible ant trails, small piles of dirt or debris near entry points, and finding ants in kitchens or around food.

How do extermination services typically eliminate black ants? Local service providers may use targeted treatments such as baits, insecticides, or barrier methods to control and eliminate black ant colonies.

Are black ants likely to return after treatment? Proper treatment by a professional can reduce the likelihood of re-infestation, but ongoing prevention measures may be recommended.

How can I prevent black ants from entering my home? Sealing entry points, removing food sources, and eliminating moisture can help prevent black ants from invading indoor spaces.

Black Ant Extermination Methods - Local service providers can implement effective strategies to eliminate black ants from residential and commercial properties.

Preventative Ant Control Tips - Experts offer advice on sealing entry points and maintaining cleanliness to reduce ant infestations.

Signs of Black Ant Infestation - Professionals can identify early indicators of black ant presence to enable timely intervention.

Choosing a Pest Control Professional - Contact local providers to find experienced pest control specialists for black ant extermination services.

Black Ant Extermination

Considering Black Ant Extermination for a property in Keller, TX? The sections above highlight common project types, practical options, and details that often shape the scope of work.

When you are ready, use the quote form to share a few details about your project. Local pros can review the basics and respond with options that match what you have in mind.

Get a Black Ant Extermination Quote

Black Ant Extermination Quotes

Our Trusted Partners
Cantu Pest Control
Orkin
Hawx Pest Control
Mosquito Shield